- Ohio History in 2000 Words
- Mound Builders
- Native Ohioans
- The Ohio Company
- Ohio's Wood Forts
- Indian Wars
- War of 1812
- Ohio's Canals
- Ohio's Road
- Scenic Railroads / Museums
- Underground Railroad
- Civil War in Ohio
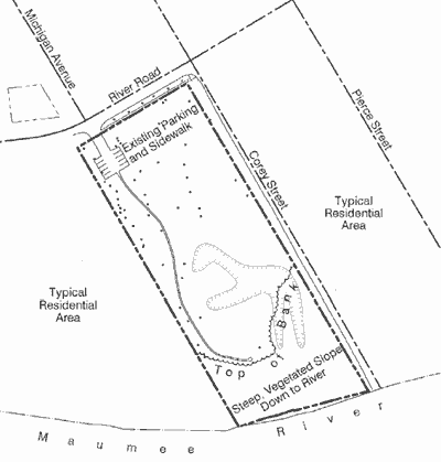
Fort Miamis was an earthwork fortification located on the west side of the Maumee River and just south of Toledo. Designed and built by Royal Engineers, Fort Miamis consisted of 4 diamond shape earthen walls called bastions. The British dug a 24' deep trench around the fort and lined it with rows of stakes to slow an enemy's assault of the fort. The British also placed 14 cannon in the fort to thwart any attackers. The fort was designed to defend the land and water routes to Detroit against American forces under General Anthony Wayne.
Before Fort Miamis was built the site was used as a French trading post in the 1600s. Before that an archeology study of the site revealed that it was also a site used by the Late Woodland mound builders.
Today, some of the trenches, traces of the earthen walls and one of the bastions are all that remain visible.

The above illustration of the fort are an artist's conception based loosely on descriptions of the fort. No plans of the fort survived. Complicating matters, construction of the fort was never completed either by the British, or later by the Americans. Although the site was ideally suited as a defensive position, it was not well suited for construction. The terrain had small rolling hills and dips. To construct the site the dips had to be filled in. These fill spots did not hold up to the environment and quickly posed problems for the stability of structures built upon the loose fill, making the fort unsustainable for the long term. What visitors can see are remains of trenches and some of what appears to be trenches are actually washed away areas that were originally filled in to provide a level construction site. These factors make it difficult for visitors to imagine what the fort looked like 200 years ago. Hopefully, a more thorough archeological excavation of the site will someday provide more detailed information as to what the site actually looked like.

Fearing that Anthony Wayne and his army were going to attack Fort Detroit to the north, British soldiers constructed Fort Miamis in 1794. In August of 1794 Major William Campbell and approximately 200 British soldiers took command of Fort Miamis.
The fort served to protect the British Indian Department post at the foot of the Maumee Rapids and tried to demonstrate the British military interests in the region to the confederated Native American tribes that were resisting U.S. efforts to occupy the area.
Fort Miamis marked the high watermark of Anthony Wayne's advance during the 1794 campaign, and its construction was part of the final attempt by the British to hold on to lands conceded to the U.S. by the Treaty of Paris a decade earlier at the end of the American Revolutionary War. As part of that treaty, the British promised to remove all of their soldiers from American soil. From the British point of view, the treaty also stated that America would honor their pledge to repay all debts owed to England, which America was not able to immediately fulfill.
Although Fort Miamis was quite formidable, it had little impact on Wayne's plans. His sole intention was to defeat and conquer the Native Americans along the Maumee River. He had no intention to move against Detroit -- at least not in 1794. The British also hoped to avoid a conflict with the Americans. While they built the fort to stop an American advance on Detroit, the English truly hoped to remain on good relations with the American Indians that wielded great influence in the area and so they could continue to prosper from the fur trade.
After successfully defeating a number of Native American's and a small number of Canadian military at the Battle of Fallen Timbers, they fled up the Maumee River to Fort Miamis. Although the Indians pleaded for the British to assist them and let them inside the fort for protection, the English refused. England's refusal to help or provide protection, greatly harmed its relationship with the Native Americans.
On August 21, 1794 Wayne followed the natives to Fort Miamis. There, he ordered the British to surrender immediately. The English garrison refused. In the early morning of August 22 the Anthony Wayne slowly approached the fort alone. When he was within pistol range he circled the entire perimeter of the fort while insulting the soldiers behind its walls, perhaps hoping they might engage his forces that were camped just a mile away. As Wayne slowly walked around the fort, the Native Americans watched in amazement from the edge of the nearby woods. It was through this defiance by the American general and the unwillingness of the British to fight, that the Indians realized there was no point in continuing. They then departed the area and went home. Realizing the fort would be difficult to attack, Wayne retreated to Fort Defiance.
Following the Treaty of Greeneville and the Jay Treaty, the fort was handed over to U.S. forces in 1796 and was soon abandoned for a number of years.
During the War of 1812, the ruined fort and its dock facilities were reoccupied by British and Indian forces who besieged Fort Meigs during the spring of 1813. Although the fort was not rebuilt, the area did serve as headquarters and a staging area for the siege of Fort Meigs just southeast and on the other side of the Maumee River.
In an action associated with that siege, British and Indian forces from Fort Miamis counterattacked and destroyed an American force attempting a siege on the British gun batteries. U.S. prisoners captured in this action were forced to run a gauntlet into the ruins of the fort, resulting in a number of prisoners being killed in an incident known as Dudley's Massacre.
The Shawnee leader Tecumseh arrived at the fort during this massacre. Fearing retribution by the Americans, he convinced the warriors to stop the killing, thus saving the rest of the captive troops. The failure of the siege of Fort Meigs marked the end of the military use of the Fort Miamis site.
Fort Miamis is listed in the National Register of Historic Places as an historic site and is significant for its association with the Battle of Fallen Timbers in 1794.

During the summers of 1981-1984 the site of Fort Miamis underwent an intensive archaeological study which disclosed significant archaeological deposits over wide areas of the site. In addition to recovering a large sample of cultural materials associated with the 1794-96 British and post-1796 U.S. occupations, some construction details of the fort were also revealed.
Through the study the site showed excellent preservation of wood in addition to the more durable types of historic remains. The site also produced intact and disturbed prehistoric features and artifacts associated with Late Woodland cultures dating circa A.D. 900-1200.
Fort Miamis is a unique cultural resource. It is the link between two National Historic Landmarks representing the successful attempts by a young United States to prove its ability to control and protect the lands beyond its original colonial occupation. In 1794 and again in 1813, Britain tested the metal of her former colony by aggressive movements into acknowledged U.S. territory. Both times the British came by ship and both times they established themselves at Fort Miamis. Fort Miamis as a historical site is significant to the understanding of both Fallen Timbers and Fort Meigs, but it is critical to the understanding of the relationship between these two landmark events. Plans are being considered on whether a reconstruction of the fort might be possible.
©
Ohio City Productions, Inc.
All Rights Reserved.
